On Friday morning, I went fishing with fellow Salt Strong Insider Keir. The marine forecast was 3-4ft seas with the occasional five at 10 seconds with 5-10 knot east wind. Generally speaking, I do not go offshore when it’s forecasted over 2-3ft seas, but since I really wanted to try out the new spots, I planned to go out the inlet and check it out. If it were too rough, we would return and fish the river.
I arrived at the dock at about 6:30 am. I told Keir to show up between 6:30 and 7:00 am. Shortly after I had the boat loaded and ready, Keir arrived. Once we loaded Keir’s gear we set out on our fishing adventure. As we exited the inlet, the ocean was flat. We started off trying to get bait at the first red buoy. Unfortunately, there was no bait, so we headed to our first spot.
Since I was hoping to catch some sheepshead and possibly catch pompano, Kier started with a chartreuse and white ½ oz pompano jig with a teaser and tipped with shrimp, while I used a pink and white one. We started about a mile north of Ft Pierce inlet. The winds were light, and there was very little current, so we slowly drifted southwest.
It didn’t take long before both Keir and I were hooked up. I had a small jack crevalle, and Keir landed a nice sheepshead. We worked the shallow reefs from about a half mile to a mile north of the inlet. We had to work for our catches as the bite was slow, but we ended the day with a great haul.
Not only did we catch fish, but we got to see many of God’s creations. A shark came near the boat; we saw a pod of dolphins, a loggerhead sea turtle, and a manatee! I love being out on the ocean as we never know what we will catch or see.
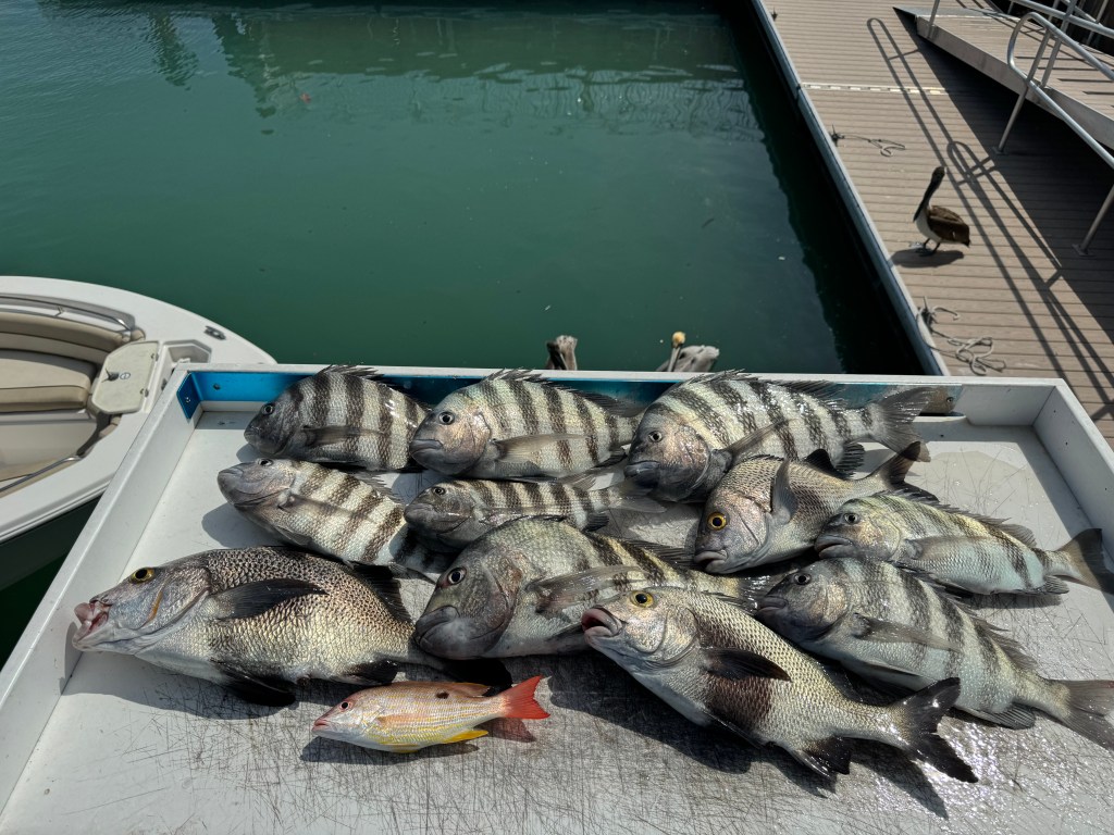
We ended the day at the dock at about 1:30 pm. We came home with eight sheepsheads ranging from 14-18 inches, three black margates from 16-18 inches, and one 10-inch lane snapper. Overall, I had a great day fishing with Keir!
Tania and I send our best wishes to all fellow anglers; we hope your fishing adventures are safe, blessed, and full of tight lines and good times! Until next time, keep casting and chasing those dreams on the water.






The Treasure Coast Chapter of Salt Strong now holds monthly meetings in Fort Pierce on the 4th Thursday of each month. These meetings are exclusive to inside members, who receive various perks, including 20% off tackle, access to Smart Fishing spots, and insider information on local trends. Monthly tournaments and guest speakers are also set to feature. If you click the link below you receive a FREE pack of Slam Shady plus shipping. If you are interested in joining us for our monthly meeting let me know. Those guest who attend will receive a free gift.


Leave a comment